




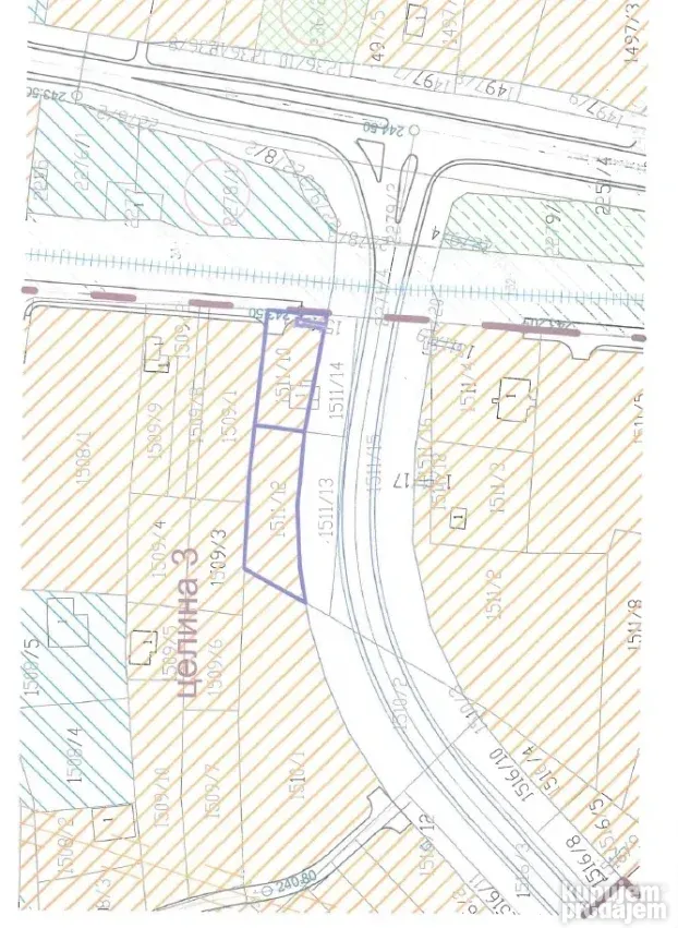
Plac u Preljini kod kružnog toka za naplatnu rampu parcele 1511/10 i 1511/12. Ukupna površina placa koji se sastoji od dve parcele 13.45 ari. Parcele su obuhvaćene Planom generalne regulacije kojim su predviđene za mešovitu namenu , dominantno poslovanje, stanovanje. . . . Ima prilaz lokalnoj saobraćajnici u neposrednoj blizini magistrale i autoputa , voda struja. Za više informacija kontakt. Napomena objekat na parceli ne postoji srusen je zbog eksproprijacije pri gradnji autoputa. Vlasnik 1/1
U skladu sa Pravilima i uslovima korišćenja i Polisom o poštovanju privatnosti, KupujemProdajem koristi Cookie-je da bi obezbedio dobro korisničko iskustvo, prikazivanje personalizovanog sadržaja, prikazivanje reklama, kao i druge funkcionalnosti i usluge koje ne bismo mogli da obezbedimo bez Cookie-ja.